Local Service Overview

Get Ants Extermination Service in Alvarado, TX

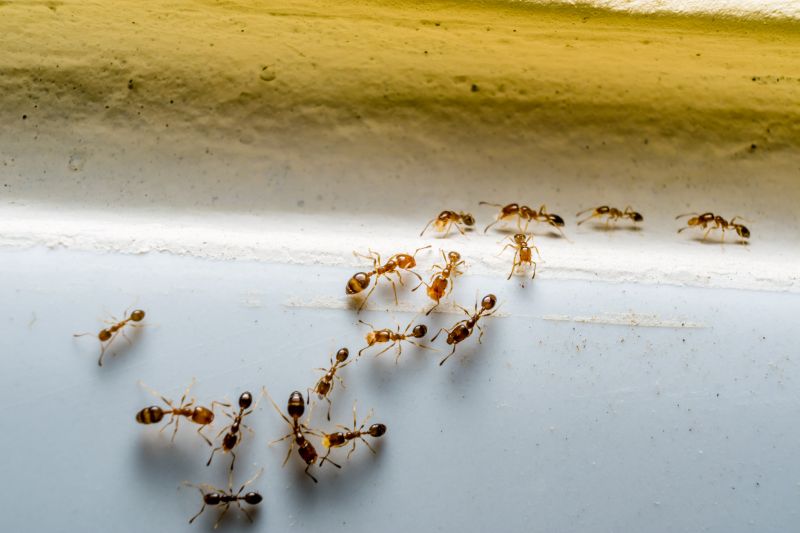
Ants extermination services for property owners in Alvarado, TX, address ant infestations, prevent future outbreaks, and handle residential or commercial pest control projects.

Alvarado, TX

Ants extermination services in Alvarado, TX help property owners address common pest issues that can impact daily life and property value. Effective removal not only eliminates the nuisance of ants but also contributes to a more comfortable and hygienic environment. By working with experienced service providers, residents can reduce the risk of ant infestations returning, ensuring their homes and businesses remain functional and inviting.

Choosing professional ant extermination offers several benefits, including enhanced safety and reduced maintenance needs. Proper treatment can protect structures from damage caused by persistent ant colonies, helping to maintain curb appeal and durability. Additionally, a comprehensive approach can provide peace of mind by creating a pest-free space that supports overall well-being and property enjoyment.

Get Ants Extermination Service Quotes

  • Ants Extermination - needed when ants invade kitchens, bathrooms, or other indoor areas in Alvarado, TX and nearby regions.
  • Ants Extermination - required when outdoor ant colonies threaten to spread into residential yards and gardens.
  • Ants Extermination - necessary for addressing persistent ant problems that do not respond to DIY methods in local neighborhoods.
  • Ants Extermination - sought after when ant activity is observed around foundations, entry points, or window frames.
  • Ants Extermination - essential for preventing future infestations in homes and commercial properties in the surrounding areas.

Get Ants Extermination Service Quotes

Ants Extermination Service
Ants Extermination Service
Ants Extermination Service

Ants extermination services involve identifying and eliminating ant infestations within residential, commercial, or industrial properties. Professionals typically conduct a thorough inspection to locate ant colonies and determine the species involved. Once the source of the problem is identified, they apply targeted treatments, which may include baiting, dusting, or spraying to effectively eradicate the ants and prevent future invasions. These services aim to eliminate the pests safely and efficiently, reducing the likelihood of recurring issues.

Ant infestations can cause various problems for property owners, including damage to structures, contamination of food supplies, and general discomfort. Certain species, such as carpenter ants, are known to cause structural damage by burrowing into wood, while others may invade kitchens or storage areas, contaminating food and surfaces. Ants can also be a source of frustration and concern for residents and employees, especially when colonies grow large or become difficult to control through DIY methods.

Properties that commonly utilize ants extermination services include single-family homes, apartment complexes, restaurants, and warehouses. Residential properties often seek help when ants invade kitchens, bathrooms, or basements, disrupting daily life. Commercial establishments, particularly those involved in food storage or preparation, prioritize pest control to maintain hygiene standards and comply with health regulations. Office buildings and warehouses may also request extermination services to prevent infestations that could affect operations or damage inventory.

Professional ant extermination services are designed to provide a comprehensive approach to pest management, tailored to the specific needs of each property. Local service providers utilize various techniques and products to address different types of ant problems effectively. Contacting a local pest control professional can help property owners develop a plan to eliminate existing infestations and implement preventative measures, ensuring a pest-free environment.

The overview below groups typical Ants Extermination Service projects into broad ranges so you can see how smaller, mid-sized, and larger jobs often compare in Alvarado, TX.

In many markets, a large share of routine jobs stays in the lower and middle ranges, while only a smaller percentage of projects moves into the highest bands when the work is more complex or site conditions are harder than average.

Initial Inspection - The cost for an ant extermination inspection typically ranges from $50 to $150, depending on property size and complexity. For example, a small home in Alvarado might be around $75, while larger properties could approach $150.

Per-Visit Treatment - A one-time treatment service generally costs between $100 and $300. This includes application of ant control products and targeted treatments to affected areas.

Ongoing Pest Management - Monthly pest management plans for ant control often range from $40 to $80 per visit, with contracts spanning several months for continuous protection.

Area-Specific Costs - Costs can vary based on property size and ant infestation severity, with typical prices in Alvarado, TX, falling within these ranges for different service levels.

Actual totals will depend on details like access to the work area, the scope of the project, and the materials selected, so use these as general starting points rather than exact figures.

Get an Ants Extermination Service Quote

Ants Extermination - Local pest control providers offer specialized services to eliminate ant infestations in residential and commercial properties in Alvarado, TX and nearby areas.

Ants Prevention - Service providers can implement preventative measures to reduce the likelihood of future ant problems through targeted treatments and property inspections.

Ants Inspection - Professionals conduct thorough inspections to identify ant activity, nesting sites, and entry points to develop effective extermination plans.

Ants Barrier Treatments - Local pros apply barrier treatments around structures to create a protective zone that deters ants from entering the premises.

Ants Baiting Services - Experts set up bait stations to attract and eliminate ant colonies, reducing their presence over time.

Ants Removal Consultation - Pest control specialists provide consultations to assess ant issues and recommend appropriate extermination strategies for properties in the area.

Ants Extermination Service

When evaluating ants extermination services in Alvarado, TX, experience is an important factor to consider. Homeowners should look for local professionals who have a proven track record of handling ant infestations effectively within the community. A contractor’s history of successful projects, especially in nearby neighborhoods, can provide insight into their familiarity with common ant issues and local conditions. Checking references or reviews from previous clients can also help gauge the reliability and expertise of the service providers, ensuring they have a history of satisfactory work.

Clear communication and written expectations are essential when selecting a pest control provider. Reputable local pros typically offer detailed information about the scope of their services, the methods they use, and any preparations needed before treatment. They should be transparent about what homeowners can expect during and after the service, including any follow-up procedures or recommendations. Homeowners are encouraged to ask questions and seek written documentation to ensure mutual understanding and to prevent misunderstandings.

Reputable references and strong communication are key indicators of a trustworthy ants extermination service. Local professionals who are able to provide references from satisfied clients demonstrate their credibility and commitment to quality work. Good communication also involves timely responses and the ability to address homeowner concerns clearly. Since the information below connects homeowners with local service providers rather than performing the work directly, it’s important to consider these factors when choosing a provider to ensure the best possible outcome for ant control needs.

Get an Ants Extermination Service Quote

Property owners in Alvarado, TX use Ants Extermination Service services for practical projects around their homes and businesses. The sections below highlight everyday jobs and straightforward project options.

Ants Extermination Service
Ants Extermination Service

Ants extermination services are often sought by property owners in Alvarado, TX, facing persistent ant invasions in residential or commercial spaces. Common situations include discovering ant trails inside kitchens, bathrooms, or storage areas, which can be a nuisance and raise concerns about hygiene. Property owners may look for professional extermination to effectively eliminate the infestation and prevent future outbreaks, especially when simple DIY methods have proven ineffective.

In addition to ongoing invasions, property owners might seek ant extermination services after noticing increased ant activity around the exterior of their property or near food sources. This can be particularly important in maintaining the cleanliness and safety of a home or business. Local service providers can offer targeted solutions to address specific ant species and infestation levels, helping property owners manage these common pests efficiently.

Get an Ants Extermination Service Quote

How do ant extermination services work? Ant extermination services typically involve inspecting the property to identify ant entry points and nests, followed by targeted treatments to eliminate the colony and prevent future infestations. Local service providers may use baiting, sprays, or other methods tailored to the specific ant species.

Are ant extermination treatments safe for pets and children? Many treatments used by professionals are designed to be safe when applied properly. It is recommended to discuss any concerns with the local pros to ensure the chosen method is suitable for homes with pets or children.

How long does an ant extermination service usually take? The duration of an ant extermination service can vary depending on the extent of the infestation and the treatment method used. Typically, services may take a few hours to complete, with follow-up visits if necessary.

Will I need multiple treatments to control an ant problem? Some ant infestations may require multiple treatments to fully eliminate the colony and prevent re-infestation. A local pest control provider can advise on the best approach based on the specific situation.

Can ant extermination services prevent future ant problems? Professional ant extermination services often include recommendations and treatments to help prevent future ant issues, such as sealing entry points and removing attractants around the property.

Ants Extermination Solutions - Local service providers offer targeted ant removal strategies to address infestations effectively.

Inspection and Identification - Professionals can assess property conditions to identify ant entry points and nesting sites.

Ongoing Prevention - Local pros provide advice and treatments to help prevent future ant invasions around residential and commercial properties.

Customized Treatment Plans - Service providers tailor extermination approaches based on the specific ant species and infestation severity.

Ants Extermination Service

Considering Ants Extermination Service for a property in Alvarado, TX? The sections above highlight common project types, practical options, and details that often shape the scope of work.

When you are ready, use the quote form to share a few details about your project. Local pros can review the basics and respond with options that match what you have in mind.

Get an Ants Extermination Service Quote

Ants Extermination Quotes

Our Trusted Partners
Cantu Pest Control
Orkin
Hawx Pest Control