Local Service Overview

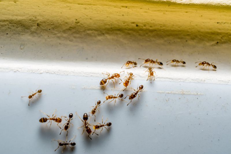
Get Ants Extermination Service in Waxahachie, TX

Ants extermination services for property owners in Waxahachie, TX, and nearby areas address ant infestations, including removal, prevention, and treatment of residential and commercial properties.

Waxahachie, TX

Ants extermination services provide property owners in Waxahachie, TX with an effective way to manage and eliminate ant infestations, helping to maintain a comfortable and hygienic living or working environment. By addressing ant problems promptly, property owners can prevent potential damage to structures, stored goods, and landscaping, while also reducing the likelihood of future invasions. This proactive approach supports the overall functionality of the property, ensuring it remains a safe and pleasant space for residents, employees, or visitors.

Engaging professional extermination services can also enhance curb appeal by keeping exterior areas free of ant trails and nests, which can detract from a property's appearance. Additionally, regular pest control can lead to reduced maintenance needs over time, as it helps prevent the damage and mess caused by ants and other pests. Property owners seeking durable, long-lasting solutions often find that professional extermination contributes to a more inviting and well-maintained property in Waxahachie, TX.

Get Ants Extermination Service Quotes

  • Ants Extermination - needed when ants invade homes or businesses in areas like Waxahachie, TX and surrounding communities.
  • Ants Extermination - required when persistent ant colonies threaten to establish nests indoors or outdoors.
  • Ants Extermination - sought after when ants become a nuisance in kitchens, pantries, or other high-traffic areas.
  • Ants Extermination - necessary when visible ant trails or mounds indicate a significant infestation nearby.
  • Ants Extermination - appropriate when ant activity is detected around foundation walls, landscaping, or entry points.

Get Ants Extermination Service Quotes

Ants Extermination Service
Ants Extermination Service
Ants Extermination Service

Ants extermination services involve professional methods to identify, eliminate, and prevent ant infestations within residential or commercial properties. Service providers typically conduct thorough inspections to locate ant colonies and entry points, utilizing targeted treatments to eradicate existing populations. These services often include the application of specialized baits, insecticides, or barriers designed to eliminate ants at various stages of their life cycle, ensuring a comprehensive approach to pest control. The goal is to reduce ant activity effectively while minimizing disruption to the property.

Ant infestations can cause significant problems, including property damage, contamination of food supplies, and general nuisance. Certain ant species, such as carpenter ants, are known to cause structural damage by hollowing out wood, which can compromise the integrity of buildings. Additionally, ants can be a source of discomfort and frustration for residents or employees, especially when they invade kitchens, pantries, or other areas where food is stored. Professional extermination services address these issues by targeting the source of the infestation and implementing preventative measures to reduce the likelihood of future problems.

Properties that commonly utilize ants extermination services include single-family homes, apartment complexes, restaurants, and retail establishments. Residential properties often seek treatment to protect food supplies and maintain comfort, especially in warmer months when ant activity increases. Commercial properties, such as food service businesses, prioritize pest control to comply with health standards and prevent disruptions. Additionally, warehouses and storage facilities may require regular inspections and treatments to safeguard stored goods from ant damage and contamination.

Engaging with local pest control providers ensures that properties receive tailored solutions suited to their specific needs. These professionals are equipped to handle different types of ant species and infestation levels, offering treatments that are appropriate for various property types. Regular inspections and maintenance programs can help keep ant populations under control, preventing future invasions and maintaining a pest-free environment. Contacting a local expert can provide peace of mind and effective management of ant-related issues.

The overview below groups typical Ants Extermination Service projects into broad ranges so you can see how smaller, mid-sized, and larger jobs often compare in Waxahachie, TX.

In many markets, a large share of routine jobs stays in the lower and middle ranges, while only a smaller percentage of projects moves into the highest bands when the work is more complex or site conditions are harder than average.

Initial Inspection - The cost for an ant inspection typically ranges from $50 to $150, depending on property size and complexity. An inspection helps identify ant entry points and nesting areas to determine the best treatment plan.

Perimeter Treatment - Applying a perimeter barrier treatment usually costs between $100 and $300. This service involves treating the exterior of a property to prevent ant entry and infestation.

Spot Treatments - Spot treatments for localized ant colonies generally cost between $75 and $200. These treatments target specific nests or trails identified during inspection.

Ongoing Maintenance - Regular maintenance visits or quarterly treatments can range from $100 to $250 per visit. This helps control ant populations and prevent future invasions over time.

Actual totals will depend on details like access to the work area, the scope of the project, and the materials selected, so use these as general starting points rather than exact figures.

Get an Ants Extermination Service Quote

Ants Extermination - Local pest control providers offer targeted solutions to eliminate ant infestations and prevent future invasions in residential and commercial properties.

Ants Prevention - Service providers can identify and address entry points and attractants to help reduce the likelihood of ant problems recurring.

Ants Inspection - Professionals conduct thorough inspections to locate nests and determine the extent of ant activity within a property.

Ants Baiting - Local pros utilize baiting systems to effectively control ant colonies while minimizing the use of broad-spectrum pesticides.

Ants Removal - Experts implement proven removal methods to eradicate existing ant populations and restore a pest-free environment.

Ants Treatment Plans - Service providers develop customized treatment strategies tailored to the specific type of ant infestation and property needs.

Ants Extermination Service

When comparing ant extermination services, it is important to consider the experience of local professionals. Established providers often have a history of handling various ant infestations, which can contribute to more effective solutions. Homeowners should look for service providers with a proven track record in their area, as familiarity with local ant species and common nesting spots can influence the success of treatment efforts.

Clear communication and written expectations are essential when selecting an ant extermination service. Reputable local pros typically provide detailed service descriptions, outlining what homeowners can expect during and after treatment. This transparency helps ensure that both parties are aligned on the scope of work, any necessary preparations, and follow-up procedures, reducing potential misunderstandings.

References and reputation are valuable indicators of a service provider’s reliability. Homeowners can seek out local pros with positive references from previous clients or a strong reputation within the community. Reliable communication, responsiveness, and professionalism often accompany positive feedback, making these qualities important factors when choosing a provider. It is recommended to gather information from multiple sources to identify local ant extermination specialists who are well-regarded and experienced in handling infestations effectively.

Get an Ants Extermination Service Quote

Property owners in Waxahachie, TX use Ants Extermination Service services for practical projects around their homes and businesses. The sections below highlight everyday jobs and straightforward project options.

Ants Extermination Service
Ants Extermination Service

Ants extermination services are often sought by property owners in Waxahachie, TX when ants become a persistent nuisance indoors or outside. Common situations include noticing ant trails near kitchens, bathrooms, or entry points, which can indicate an active infestation. Property owners may look for professional assistance to effectively eliminate the ants and prevent them from returning, especially in cases where DIY methods have proven ineffective or temporary.

Additionally, homeowners and business owners may request ant extermination services to address issues caused by ant colonies around their property. These pests can damage plants, contaminate food supplies, or create unsightly conditions that affect the appearance and hygiene of a property. Connecting with local service providers ensures that experienced professionals can assess the situation and implement targeted solutions to manage ant problems efficiently.

Get an Ants Extermination Service Quote

How do ant extermination services work? Ant extermination services typically involve inspecting the property to identify ant activity and nesting sites, then applying targeted treatments to eliminate the colonies and prevent future infestations.

Are the treatments safe for pets and children? Many ant extermination options are formulated to be safe for homes with pets and children, but it's recommended to discuss safety concerns with local service providers before treatment.

How long does an ant extermination treatment last? The duration of effectiveness varies depending on the treatment method and the severity of the infestation; local pros can provide guidance on maintenance and follow-up services.

Will I need multiple treatments to get rid of ants? Some ant problems may require more than one treatment session to fully eliminate the colony and prevent re-infestation, as advised by local pest control providers.

How can I prevent future ant problems? Preventative measures often include sealing entry points, removing food and water sources, and scheduling regular inspections with local pest control professionals.

Ants Control Solutions - Local service providers offer targeted treatments to eliminate ant infestations and prevent future problems.

Inspection and Identification - Pros can assess property conditions to identify ant entry points and nesting areas for effective treatment planning.

Barrier Treatments - Experts apply residual barriers around structures to create a protective zone against ants.

Ongoing Monitoring and Prevention - Service providers can establish maintenance plans to keep ant populations under control over time.

Ants Extermination Service

Considering Ants Extermination Service for a property in Waxahachie, TX? The sections above highlight common project types, practical options, and details that often shape the scope of work.

When you are ready, use the quote form to share a few details about your project. Local pros can review the basics and respond with options that match what you have in mind.

Get an Ants Extermination Service Quote

Ants Extermination Quotes

Our Trusted Partners
Cantu Pest Control
Orkin
Hawx Pest Control