Local Service Overview

Get Ants Extermination Service in Duncanville, TX

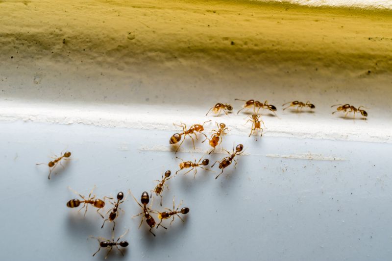
Ants extermination services for property owners in Duncanville, TX, and nearby areas address ant infestations, prevent future invasions, and handle residential and commercial pest control projects.

Duncanville, TX

Ants extermination services provide property owners in Duncanville, TX with effective solutions to manage and prevent ant infestations. These services help maintain a comfortable living or working environment by reducing the presence of pests that can cause discomfort or disrupt daily activities. Additionally, addressing ant problems promptly can prevent potential damage to structures, wiring, and stored goods, contributing to the overall safety and functionality of the property.

Choosing professional extermination services offers benefits such as enhanced curb appeal by eliminating unsightly ant trails and nests, as well as reducing ongoing maintenance needs associated with recurring infestations. Proper pest control can also contribute to the durability of the property’s exterior and interior, ensuring it remains in good condition while fostering a sense of peace of mind for property owners in the community.

Get Ants Extermination Service Quotes

  • Ants Extermination - needed when ants invade kitchens, pantries, or outdoor areas around Duncanville, TX.
  • Ants Extermination - required if ants are nesting in walls, basements, or under porches in nearby neighborhoods.
  • Ants Extermination - necessary when ant trails are seen crossing entry points or along foundation lines.
  • Ants Extermination - sought after if ant colonies are detected in garden beds or landscaped areas in the local region.
  • Ants Extermination - essential when ant activity persists despite basic cleaning and preventative measures.

Get Ants Extermination Service Quotes

Ants Extermination Service
Ants Extermination Service
Ants Extermination Service

Ants extermination services involve identifying and eliminating ant infestations within residential, commercial, or industrial properties. Professionals typically conduct a thorough inspection to determine the extent of the ant problem and locate the nest sites. Treatment methods may include targeted applications of insecticides, baiting systems, and preventative measures to reduce the likelihood of future invasions. The goal is to effectively remove existing colonies while minimizing disruption to the property and its occupants.

These services help address common issues caused by ant infestations, such as property damage, contamination of food supplies, and general nuisance. Certain ant species, like carpenter ants, can cause structural damage by tunneling into wood, while others, such as odorous house ants or fire ants, can pose health risks or create uncomfortable living conditions. Exterminators work to eliminate these pests and implement strategies to prevent re-infestation, ensuring a more comfortable and hygienic environment.

Ants extermination services are frequently utilized in various property types, including single-family homes, apartment complexes, restaurants, and retail stores. Homes are often targeted for treatment due to the desire to protect food and prevent structural damage. Commercial properties, especially food service establishments, seek professional assistance to maintain sanitary conditions and comply with health regulations. Additionally, property managers and landlords may arrange for regular pest control to manage ant populations across multiple units or buildings.

Partnering with local pest control professionals provides access to tailored solutions for ant problems. These experts are equipped to handle different infestation scenarios, from minor nuisances to severe outbreaks. By addressing ant issues promptly and effectively, property owners can maintain a cleaner, safer, and more comfortable environment for residents, customers, or employees.

The overview below groups typical Ants Extermination Service projects into broad ranges so you can see how smaller, mid-sized, and larger jobs often compare in Duncanville, TX.

In many markets, a large share of routine jobs stays in the lower and middle ranges, while only a smaller percentage of projects moves into the highest bands when the work is more complex or site conditions are harder than average.

Initial Inspection - The cost for an ant inspection typically ranges from $50 to $150, depending on the property's size and complexity. This fee covers assessment of the affected areas and identification of ant species. Some providers include the inspection as part of their treatment package.

One-Time Treatment - A single ant extermination service can cost between $100 and $300. Prices vary based on the extent of the infestation and the treatment method used by local service providers. Larger or more severe infestations may incur higher fees.

Treatment Packages - Comprehensive treatment packages often range from $200 to $600, offering multiple visits and ongoing monitoring. These packages are designed for persistent or widespread ant problems and may include follow-up inspections.

Maintenance and Follow-Up - Follow-up treatments or maintenance plans typically cost between $75 and $200 per visit. The frequency of visits depends on the severity of the ant issue and the recommendations of local extermination services.

Actual totals will depend on details like access to the work area, the scope of the project, and the materials selected, so use these as general starting points rather than exact figures.

Get an Ants Extermination Service Quote

Ants Extermination services involve professionals who specialize in eliminating ant infestations from residential and commercial properties in Duncanville, TX and surrounding areas.

Local ant control experts provide targeted treatments to address common species such as carpenter ants, odorous house ants, and pavement ants.

These services often include inspection, identification of ant species, and customized treatment plans to effectively reduce ant populations.

Ants extermination providers may also offer advice on preventing future infestations through sanitation and structural repairs.

Professionals utilize various methods, including baiting and residual insecticides, tailored to the specific needs of each property.

Contacting local ant extermination specialists ensures access to experienced providers equipped to handle ant problems efficiently.

Ants Extermination Service

When comparing ant extermination services, it’s important to consider the experience of local professionals. Established providers typically have a history of handling ant infestations effectively, which can be an indicator of their familiarity with common local ant species and effective treatment methods. Reviewing the background of each service provider can help homeowners identify those with extensive experience in pest control within the Duncanville, TX area, ensuring they are choosing a knowledgeable and capable professional.

Clear communication and well-defined expectations are vital when working with ant extermination specialists. Reputable providers often outline the scope of services, treatment procedures, and any necessary follow-up steps upfront. This transparency helps homeowners understand what to expect from the service, reducing uncertainty and ensuring that the process aligns with their needs. Good communication also facilitates ongoing updates and clarifications, making the entire experience smoother and more predictable.

Reputable references and local reputation are key factors in selecting a pest control provider. Homeowners can seek out reviews or testimonials from previous clients to gauge the reliability and quality of the services offered. Additionally, local service providers with positive community feedback are often more familiar with regional pest challenges and have established relationships within the community. It’s important to remember that the information below introduces local options and is not a contractor-homeowners should contact the individual professionals directly to discuss their specific needs and confirm their credentials and reputation.

Get an Ants Extermination Service Quote

Property owners in Duncanville, TX use Ants Extermination Service services for practical projects around their homes and businesses. The sections below highlight everyday jobs and straightforward project options.

Ants Extermination Service
Ants Extermination Service

Ants extermination services are commonly sought after by property owners in Duncanville, TX, who are dealing with persistent ant infestations in residential or commercial spaces. These services are often needed when ants invade kitchens, pantry areas, or outdoor patios, creating nuisances and potential health concerns. Property owners may look for professional assistance to effectively eliminate the colony and prevent future invasions, especially when simple DIY methods prove ineffective.

In addition to immediate removal, property owners might seek ants extermination to address recurring problems or to protect their property from structural damage caused by certain ant species. Exterminators can help identify the type of ants present and recommend targeted treatment plans. Contacting local service providers ensures that residents and business owners in Duncanville can access solutions tailored to their specific needs.

Get an Ants Extermination Service Quote

How do ant extermination services work? Ant extermination services typically involve inspecting the property to identify ant entry points and nests, then applying targeted treatments to eliminate the colony and prevent future infestations.

Are ant extermination methods safe for homes with children or pets? Many service providers use treatments that are safe when applied properly; it is recommended to discuss safety concerns with local pros during the contact process.

How long does an ant extermination treatment last? The duration of effectiveness varies depending on the treatment method and extent of the infestation, with some services offering ongoing monitoring options.

Can ant extermination services prevent future infestations? Yes, many providers offer integrated pest management strategies aimed at reducing the likelihood of future ant problems.

What should I do before a pest control professional arrives? It is usually advised to clear clutter around entry points and inform the technician of any known ant activity to facilitate effective treatment.

Ants Identification and Prevention - Local pest control providers can assess ant activity and recommend strategies to prevent future infestations.

Ant Extermination Treatments - Professionals use targeted treatments to eliminate ant colonies and reduce the likelihood of recurring problems.

Ongoing Monitoring Services - Regular inspections help detect ant activity early and maintain a pest-free environment.

Customized Pest Management Plans - Service providers develop tailored plans to address specific ant species and infestation levels.

Ants Extermination Service

Considering Ants Extermination Service for a property in Duncanville, TX? The sections above highlight common project types, practical options, and details that often shape the scope of work.

When you are ready, use the quote form to share a few details about your project. Local pros can review the basics and respond with options that match what you have in mind.

Get an Ants Extermination Service Quote

Ants Extermination Quotes

Our Trusted Partners
Cantu Pest Control
Orkin
Hawx Pest Control