Local Service Overview

Get Red Ant Extermination in Desoto, TX

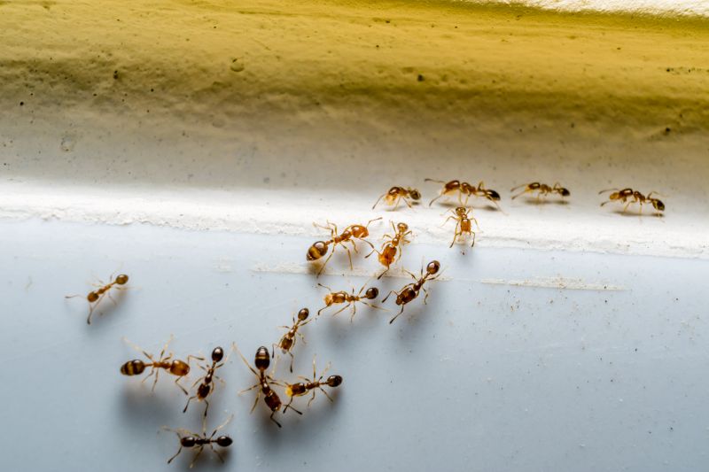
Red Ant Extermination services for property owners in Desoto, TX, and nearby areas cover pest control, rodent removal, termite treatments, and prevention projects.

Desoto, TX

Red ant extermination services provide property owners in Desoto, TX with an effective solution to manage and eliminate ant infestations that can disrupt daily life. Addressing these pests helps create a more comfortable environment by reducing the presence of unwanted insects, which can be a nuisance in homes and commercial spaces alike. Proper extermination not only restores peace of mind but also helps maintain the safety and hygiene of the property by preventing potential health issues associated with ant colonies.

Utilizing professional extermination services offers benefits such as enhanced durability and reduced maintenance needs by preventing future invasions. A pest-free property can also improve curb appeal, making outdoor spaces more inviting and visually appealing. By choosing experienced local providers, property owners can ensure long-lasting results that support the overall functionality and safety of their properties in Desoto, TX.

Get Red Ant Extermination Quotes

  • Red Ant Extermination services are recommended when red ants invade residential or commercial properties in Desoto, TX and surrounding areas.
  • Red Ant Extermination may be needed if red ants establish colonies outdoors near lawns, gardens, or building foundations.
  • Red Ant Extermination is essential when red ants become a nuisance indoors, especially in kitchens and living spaces.
  • Red Ant Extermination services are useful for property owners facing persistent ant activity despite previous treatments.
  • Red Ant Extermination can help control red ant populations before they cause structural damage or health concerns.

Get Red Ant Extermination Quotes

Red Ant Extermination
Red Ant Extermination
Red Ant Extermination

Red ant extermination services focus on identifying and eliminating red ant colonies that have established themselves on residential, commercial, or industrial properties. These services typically involve thorough inspections to locate active nests and assess the extent of infestation. Treatment methods may include the application of targeted insecticides, baiting systems, and barrier treatments designed to reduce ant populations and prevent future invasions. Professionals use specialized equipment and techniques to ensure that the treatment is effective while minimizing disruption to the property.

Red ants can cause significant problems for property owners, including structural damage, especially if they build nests in wooden structures or foundations. They are also known to invade kitchens, pantries, and other areas where food is stored, leading to hygiene concerns and potential contamination. In addition, red ant bites can cause discomfort and allergic reactions in some individuals. Addressing an infestation promptly can help mitigate these issues, reduce the risk of property damage, and improve overall safety and cleanliness.

Properties that commonly utilize red ant extermination services include single-family homes, apartment complexes, restaurants, and warehouses. Residential properties often require treatments in yards, gardens, or around the foundation to prevent ants from entering living spaces. Commercial properties, especially food service establishments, benefit from regular inspections and treatments to maintain sanitary conditions and comply with health standards. Industrial sites with large storage areas or wooden structures may also seek pest control solutions to protect their assets from red ant damage.

Professional red ant extermination services are essential for effective and long-lasting control. Local service providers typically tailor their treatments based on the severity of the infestation and the specific property type. They may recommend ongoing maintenance or preventive measures to keep red ants from returning. Engaging experienced pest control experts ensures that infestations are addressed properly, helping property owners maintain a pest-free environment and avoid the complications associated with red ant invasions.

The overview below groups typical Red Ant Extermination projects into broad ranges so you can see how smaller, mid-sized, and larger jobs often compare in Desoto, TX.

In many markets, a large share of routine jobs stays in the lower and middle ranges, while only a smaller percentage of projects moves into the highest bands when the work is more complex or site conditions are harder than average.

Initial Inspection Cost - The cost for an initial inspection typically ranges from $100 to $300, depending on the size of the property and extent of the infestation. For example, a small residence in Desoto, TX, may fall toward the lower end of this range.

Pest Treatment Fees - Treatment costs can vary between $150 and $500 per session, with larger or heavily infested properties incurring higher fees. A standard treatment for a medium-sized home might average around $250.

Follow-Up Services - Follow-up visits or ongoing treatments generally cost between $75 and $200 per visit. The frequency of these visits influences the overall expenditure for pest control.

Comprehensive Service Packages - Complete pest control packages often range from $300 to $1,200, offering multiple treatments and inspections over several months. Prices vary based on property size and infestation severity.

Actual totals will depend on details like access to the work area, the scope of the project, and the materials selected, so use these as general starting points rather than exact figures.

Get a Red Ant Extermination Quote

Ant Extermination - Local pest control providers offer ant extermination services to eliminate colonies and prevent future infestations in residential and commercial properties.

Termite Control - Service providers specialize in identifying and treating termite issues to protect structures from damage caused by these wood-destroying insects.

Carpenter Ant Removal - Pros provide targeted treatments to remove carpenter ants and address any structural damage they may have caused.

Pavement Ant Solutions - Local experts assist in controlling pavement ant populations that can invade outdoor and indoor spaces, ensuring property comfort.

Fire Ant Management - Service providers implement strategies to reduce fire ant populations, especially in outdoor areas like lawns and gardens.

Other Ant Species Control - Local pest control companies can identify and treat various ant species to manage diverse ant-related issues effectively.

Red Ant Extermination

When selecting a professional for red ant extermination services, it’s important to consider the experience of the local providers. Experienced contractors typically have a history of handling various ant infestations, which can contribute to more effective and efficient treatments. Homeowners should look for service providers with a proven track record in their area, as familiarity with local ant species and environmental conditions can enhance the success of the extermination process.

Clear communication and well-defined expectations are essential when working with local pros. Reputable service providers often outline what homeowners can expect during and after treatment, including any necessary preparations or follow-up procedures. Establishing open lines of communication ensures that questions are addressed and that both parties are aligned on the scope of work, reducing potential misunderstandings.

Reputable references and reviews can serve as valuable indicators of a local extermination professional’s reliability. Homeowners are encouraged to seek out recommendations or testimonials from previous clients in their community to gauge the quality of service. While the lead-generation platform introduces local options, it is important to note that it does not perform the work itself. Instead, it connects homeowners with qualified service providers who can be further vetted through references and direct inquiries.

Get a Red Ant Extermination Quote

Property owners in Desoto, TX use Red Ant Extermination services for practical projects around their homes and businesses. The sections below highlight everyday jobs and straightforward project options.

Red Ant Extermination
Red Ant Extermination

Red ant extermination services are often sought by property owners in Desoto, TX, dealing with persistent ant infestations that disrupt daily activities. These pests can invade homes and businesses, especially during warmer months, creating nuisances and potential health concerns. Local service providers can help identify the extent of the infestation and implement targeted treatments to eliminate red ants effectively, helping residents restore comfort and safety to their properties.

Property owners might also consider red ant extermination when noticing signs of nests around their yards or foundations. Red ants can damage plants, create unsightly mounds, and pose stings that may cause allergic reactions. Engaging with local extermination specialists can assist in managing these issues, preventing future outbreaks, and maintaining a pest-free environment in residential and commercial spaces throughout Desoto.

Get a Red Ant Extermination Quote

What are signs of a red ant infestation? Signs include visible red ants around the property, ant trails, and small mounds of soil or debris in the yard.

How do extermination services remove red ants? Local pest control providers typically use targeted treatments such as baiting and residual insecticides to eliminate red ants effectively.

Are red ants dangerous? Red ants can sting and cause allergic reactions in some individuals, so professional removal is recommended for safety.

How long does red ant extermination usually take? The duration varies depending on the extent of the infestation and treatment methods used by local service providers.

Can red ants return after treatment? While professional services aim to eliminate existing colonies, ongoing prevention measures may be advised to reduce the chance of re-infestation.

Red Ant Extermination Services - Professionals can assess infested areas and recommend effective removal strategies tailored to specific situations.

Red Ant Control Solutions - Local service providers offer targeted treatments to eliminate ant colonies and prevent future invasions.

Red Ant Prevention Tips - Experts can advise on property modifications and maintenance practices to reduce ant attractants and entry points.

Red Ant Inspection Services - Trained pros can identify signs of infestation and determine the extent of ant activity on residential or commercial properties.

Red Ant Extermination

Considering Red Ant Extermination for a property in Desoto, TX? The sections above highlight common project types, practical options, and details that often shape the scope of work.

When you are ready, use the quote form to share a few details about your project. Local pros can review the basics and respond with options that match what you have in mind.

Get a Red Ant Extermination Quote

Red Ant Extermination Quotes

Our Trusted Partners
Cantu Pest Control
Orkin
Hawx Pest Control