Local Service Overview

Get Ants Extermination Service in Italy, TX

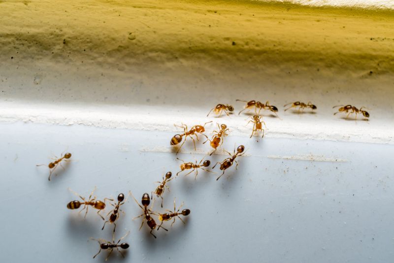
Ants extermination services for property owners in Italy, TX, and nearby areas address ant infestations, prevent future invasions, and handle residential or commercial pest control projects.

Italy, TX

Ants extermination services provide property owners in Italy, TX with effective solutions to manage and eliminate ant infestations. Addressing these pests helps maintain a comfortable living environment by preventing the nuisance and potential damage caused by ant colonies. Proper extermination can also enhance safety by reducing the risk of ant bites and preventing the spread of any bacteria or pathogens they may carry, contributing to overall well-being.

Utilizing professional ant control services can improve the functionality and durability of a property by protecting structures from ant-related damage, such as chewed wiring or compromised insulation. Additionally, regular extermination efforts can reduce ongoing maintenance needs and help preserve curb appeal by keeping outdoor spaces and entry points free of pests, creating a cleaner, more inviting appearance for homes and businesses alike.

Get Ants Extermination Service Quotes

  • Ants Extermination - Needed when ants invade kitchens, bathrooms, or other indoor spaces in residential or commercial properties.
  • Ants Extermination - Required for properties experiencing persistent ant trails or nests outside near foundations or landscaping.
  • Ants Extermination - Essential when ant colonies threaten gardens or outdoor living areas in neighborhoods around Texas or nearby regions.
  • Ants Extermination - Necessary for urgent removal when ant swarms or large infestations are present in commercial establishments.
  • Ants Extermination - Used when ants are seen entering through cracks, crevices, or utility openings in homes or businesses in the local area.

Get Ants Extermination Service Quotes

Ants Extermination Service
Ants Extermination Service
Ants Extermination Service

Ants extermination services involve targeted treatments designed to eliminate ant infestations within residential, commercial, or industrial properties. These services typically include a thorough inspection to identify ant entry points and nesting sites, followed by the application of specialized products to eradicate existing colonies. The process may also involve implementing preventative measures to reduce the likelihood of future invasions, such as sealing cracks and crevices or advising on sanitation practices. The goal is to effectively reduce or eliminate ant populations while minimizing disruption to the property.

Ant infestations can cause various problems for property owners, including structural damage, contamination of food supplies, and general nuisance. Certain species of ants, such as fire ants or carpenter ants, are known for their aggressive behavior or destructive tendencies, which can lead to costly repairs or health concerns. Ants can also be difficult to control once they establish a colony, often requiring professional intervention to ensure complete removal. Extermination services help address these issues by providing a comprehensive approach to pest management, reducing the risk of ongoing problems.

Commercial properties, such as restaurants, grocery stores, and warehouses, frequently utilize ant extermination services to maintain hygiene standards and comply with health regulations. Additionally, multi-family residential buildings, including apartment complexes and condominiums, often seek professional pest control to protect residents from infestations that can spread rapidly. Even some industrial facilities may require targeted treatments to prevent ant-related contamination or structural damage. These services are adaptable to various property types, ensuring that businesses and property owners can maintain pest-free environments.

Residential properties also commonly benefit from ant extermination services to safeguard homes and outdoor spaces. Families may seek professional help to eliminate ants from kitchens, gardens, or yards, especially when infestations become persistent or difficult to manage with DIY methods. Regular inspections and treatments can help prevent future infestations and protect the integrity of the property. Local pest control providers offer tailored solutions for different property sizes and types, ensuring effective ant management that addresses specific needs and circumstances.

The overview below groups typical Ants Extermination Service projects into broad ranges so you can see how smaller, mid-sized, and larger jobs often compare in Italy, TX.

In many markets, a large share of routine jobs stays in the lower and middle ranges, while only a smaller percentage of projects moves into the highest bands when the work is more complex or site conditions are harder than average.

Initial Inspection Cost - The cost for a professional ant inspection typically ranges from $50 to $150, depending on the size of the property and extent of the infestation. This fee often covers a thorough assessment to identify ant activity and entry points.

Basic Treatment Expenses - A standard ant extermination service can cost between $100 and $300 for a single treatment. Larger properties or severe infestations may incur higher charges, potentially reaching $400 or more.

Multiple Treatment Packages - For ongoing control, service providers may offer packages ranging from $200 to $600. These often include initial treatment plus follow-up visits to ensure complete eradication.

Specialized or Organic Treatments - Eco-friendly or specialized ant control options generally cost between $150 and $400 per service. Prices vary based on treatment complexity and the products used by local pros in Italy, TX and nearby areas.

Actual totals will depend on details like access to the work area, the scope of the project, and the materials selected, so use these as general starting points rather than exact figures.

Get an Ants Extermination Service Quote

Ants Extermination services involve professionals who specialize in identifying and eliminating ant colonies within residential and commercial properties in Italy, TX and nearby areas.

Local ant control experts utilize targeted treatments to remove ants and prevent future infestations, ensuring a pest-free environment.

These services may include inspection, baiting, and the application of ant-specific insecticides to address various species of ants.

Professionals working in ant extermination often advise on property modifications to reduce attractants and discourage ant entry.

Contacting local pros for ant extermination services can help identify the most effective treatment plan for specific infestation levels.

Ants Extermination services are available for both one-time treatments and ongoing pest management solutions in the Italy, TX area.

Ants Extermination Service

When evaluating ant extermination services, experience is a key factor to consider. Local pros often have a deep understanding of the specific ant species prevalent in Italy, TX, and the surrounding areas, which can influence the effectiveness of their treatments. Homeowners are encouraged to review the background of potential service providers to determine their familiarity with local pest issues and the types of extermination methods they employ. While the site introduces a selection of local options, it does not perform the work itself, making it important to seek out detailed information directly from each contractor regarding their experience with ant control.

Clear and written expectations are essential for a smooth service experience. Reputable local providers typically outline the scope of their work, the methods they use, and any preparations homeowners should consider before treatment. Homeowners should look for service providers who communicate these expectations transparently, ensuring there is a mutual understanding of what the extermination process entails. Since the site does not endorse specific companies, contacting providers directly to clarify service details can help establish a clear plan and avoid misunderstandings.

Reputation and communication are vital when choosing a pest control professional. Reliable local pros are often recommended through references or reviews from previous clients, providing insight into their reliability and quality of service. Effective communication includes responsiveness to inquiries, straightforward explanations of treatment options, and willingness to answer questions. Homeowners are encouraged to seek out local providers with reputable references and open lines of communication, as these qualities contribute to a positive and informed service experience.

Get an Ants Extermination Service Quote

Property owners in Italy, TX use Ants Extermination Service services for practical projects around their homes and businesses. The sections below highlight everyday jobs and straightforward project options.

Ants Extermination Service
Ants Extermination Service

Ants extermination services are commonly sought after by property owners in Italy, TX when they notice persistent ant activity around their homes or businesses. Common situations include discovering trails of ants in kitchens, pantries, or outdoor areas, which can indicate an ongoing infestation. Property owners often seek professional assistance to address these issues effectively and prevent future invasions, especially when simple cleaning or sealing efforts do not resolve the problem.

Additionally, property owners may look for ants extermination services in response to seasonal increases in ant activity or after observing increased ant presence following weather changes. In some cases, homeowners or business owners want to eliminate ants that threaten food safety or cause damage to structures, prompting them to contact local professionals for targeted treatment options. These services help maintain a clean, pest-free environment and protect property investments.

Get an Ants Extermination Service Quote

How do ant extermination services work? Ant extermination services typically involve inspecting the property to identify ant trails and nests, then applying targeted treatments to eliminate the colony and prevent future infestations.

Are there different types of ant treatments available? Yes, local service providers offer various treatment options, including baits, sprays, and dusts, tailored to the specific ant species and infestation severity.

How long does an ant extermination treatment usually last? The duration of effectiveness can vary based on the treatment type and extent of the infestation; professionals can provide guidance during the service.

Is ant extermination safe for pets and children? Most treatments used by local pros are designed to be safe when applied properly; it's recommended to follow any specific instructions provided during the service.

How can I prevent future ant problems? Local ant extermination specialists can advise on sealing entry points, removing attractants, and implementing ongoing prevention strategies to minimize future invasions.

Ants Extermination Techniques - Local pest control providers utilize a variety of proven methods to eliminate ant infestations effectively.

Preventative Ant Control Strategies - Professionals can implement measures to reduce the likelihood of future ant problems around residential and commercial properties.

Inspection and Identification Services - Expert inspectors assess the extent of ant activity and identify species to determine the most appropriate treatment plan.

Ongoing Monitoring and Maintenance - Service providers offer regular inspections to ensure ants do not return and to maintain a pest-free environment.

Ants Extermination Service

Considering Ants Extermination Service for a property in Italy, TX? The sections above highlight common project types, practical options, and details that often shape the scope of work.

When you are ready, use the quote form to share a few details about your project. Local pros can review the basics and respond with options that match what you have in mind.

Get an Ants Extermination Service Quote

Ants Extermination Quotes

Our Trusted Partners
Cantu Pest Control
Orkin
Hawx Pest Control